You are here

Chimeneas de Cádiz Campaign - October 2011 - IEO # Message 8

Imagen de AEMET en la que se ve la corriente en chorro que entra (en color rojizo)  procedente del Atlántico y que envuelve a la Península Ibérica. Ese flujo de aire penetra en el Golfo de Cádiz con una virulencia extraordinaria hasta el punto que nos ha

Jueves 27 de octubre de 2011

Por desgracia las peores previsiones meteorológicas se han cumplido. Tenemos mar gruesa con vientos de 40 nudos de viento del sureste rolando al oeste. A las 00:00 hicimos una “reunión de crisis” para discutir las alternativas de trabajo que teníamos para la noche, en espera de que en la madrugada pudiéramos hacer una nueva valoración del escenario meteorológico que nos encontráramos. Las opciones no eran muchas y las caras de cansancio por causa de la fatiga acumulada por el estado de la mar eran muy explícitas. Escuchadas todas las opiniones, el Jefe de Campaña en sintonía con el Capitán decidió mantener las líneas de multihaz hasta que el tiempo lo permitiera.

Estuvimos toda la noche navegando de norte a sur, pero el balanceo del barco era muy grande. El viento arreciaba a medida que se aproximaba la madrugada. Alrededor de las 8:00 finalizamos las líneas programadas y comprobamos que resultaba imposible continuar trabajando con ese rumbo. Los balanceos eran insoportables y la vida a bordo se hacía imposible. Como nos quedaban por completar algunas líneas de TOPAS que corren con rumbo NE/SO, y parecía que esta dirección permitiría desarrollar la vida a bordo en mejores condiciones, Luismi decidió correrlas puesto que los resultados serían aceptables. Con esa intención seguimos navegando en la confianza de que el viento amainara y no tuviéramos que vernos forzados a refugiarnos en puerto. Así que nos situamos sobre el volcán de fango Gazúl e iniciamos el recorrido hacia tierra pasando por Albolote y los depósitos someros del Guadalquivir.

La navegación no era mala del todo, pero a pesar de ello parte del personal científico acusó el temporal y no hubo muchos comensales en el almuerzo. El cocinero logró hacer la comida y vive Dios que quedó buena. Nos despachamos con un potaje de garbanzos con verduras, coditos de pasta, ensalada verde fresquita, patatas fritas y solomillo de ternera, y de postre una porción de tarta helada. Los más triperos dieron buena cuenta de ella.

Una vez que alcanzamos las inmediaciones del río Guadalquivir ya percibimos que aquello no mejoraba y que no nos quedaba más alternativa que refugiarnos en puerto en espera de que el tiempo mejorase. Los sistemas acústicos no funcionan todo lo bien que cabía esperar debido a los pantocazos que daba el barco, por lo que las intentonas de navegar en las direcciones que teníamos programadas no han dado como resultas buenos datos.

Las órdenes fueron claras. “Regresamos a puerto, Capitán”, dijo lacónicamente el Jefe de Campaña a través del interfono. “Lo hemos intentado todo, Luismi”, contestó Miguel desde el puente en un tono afectivo. El Capitán y la tripulación del buque saben bien la importancia que tiene para los científicos aprovechar los días de navegación que se les asignan en el marco de los proyectos de investigación. De ahí que siempre se intente trabajar el mayor número de horas posible, respetando los márgenes de seguridad por los que vela el Capitán, en espera de que las cosas mejoren. A las tres de la tarde estábamos atracados en Franca en compañía del B/O Emma Bardán que está trabajando por la zona, cubriendo la plataforma continental frente a Doñana en el contexto del Proyecto ESPACE. Este buque es el “hermano pequeño” del Vizconde de Eza en el que hemos realizado varias navegaciones, así que el reencuentro con viejos conocidos nos alegra enormemente y da pie a que se formen tertulias muy agradables en las que se rememoran aventuras vividas conjuntamente.

No nos queda más remedio que retirarnos y esperar a que el temporal amaine. El viento va en aumento y no os engaño si os digo que esta noche ha sido tan mala como la de hace dos días. Cuando ya creíamos que nos habíamos repuesto, se nos presenta un nuevo temporal que nos vuelve a machacar. Llegamos a Cádiz con los cuerpos medio destrozados. Confiamos poder dormir atracados en un lugar en el que parezca que no estamos flotando en la mar. No es de menor importancia comprobar que la cena se puede tomar sin que se balancee la mesa. Creo que hoy vamos a disfrutar mejor de los manjares que nos han preparado los cocineros.

(Posted November 2, 2011)

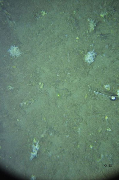
Imagen de la cumbre de Gazul en la que se observan gorgonias y corales negros © IEO
Go to up page <Go to previous page Go to next page>